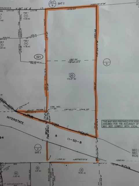
0 Old Highway 80 And Tierra Del Sol Land #610-061-27-00; 28-00;29-00; , Boulevard, CA 91905 $150,000 10.86 Acre SOLD